Baggrund
Ændringen vil give mulighed for lavt boligområde primært henvendt til seniorer.
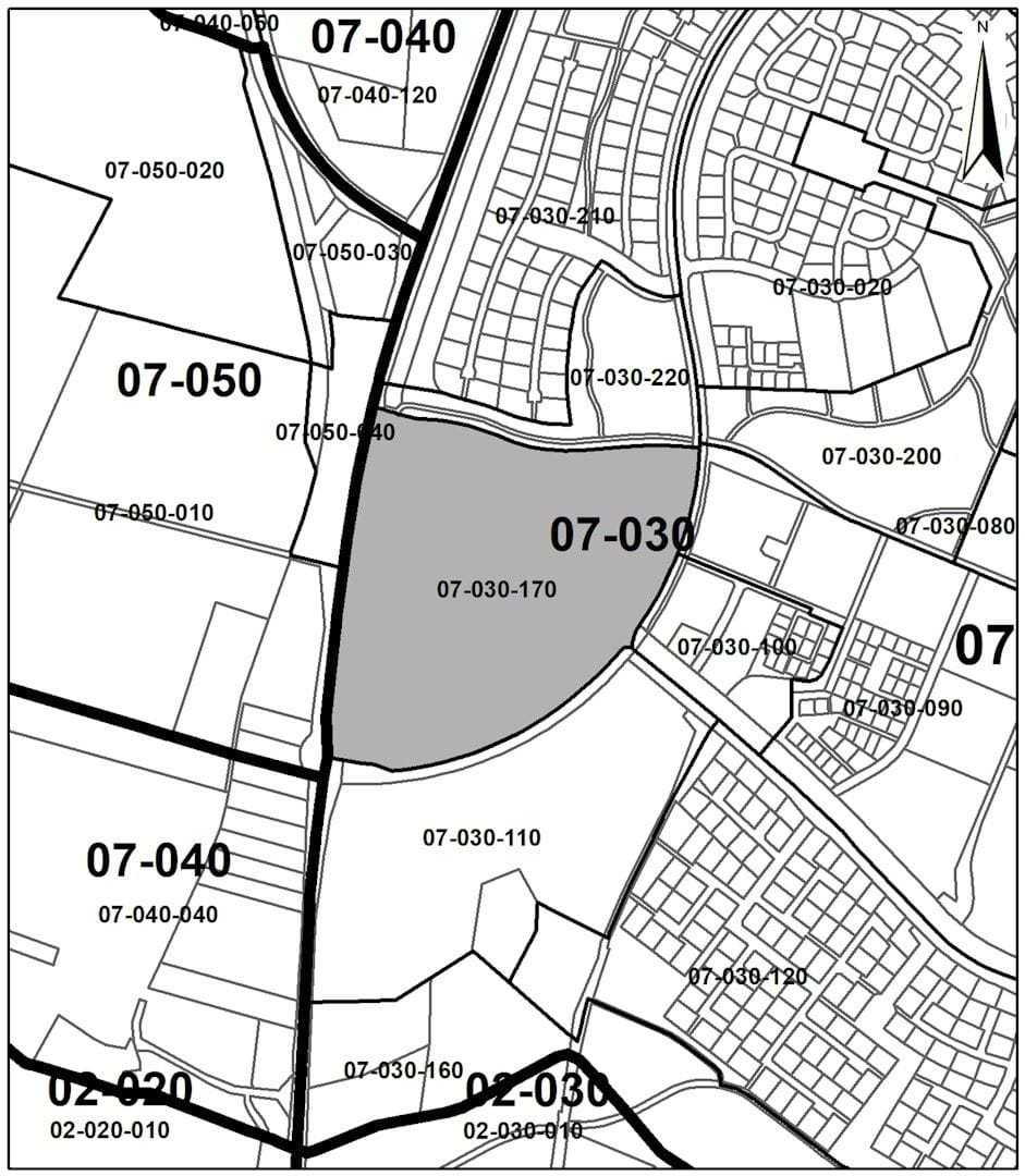
Som det ses på kortet omfatter ændringen et område mellem Tarphagevej og Sønderrisvej i Esbjerg
Redegørelse
Der er et ønske i Sønderris om, at boligudbuddet i bydelen skal være mere varieret, herunder med et større udbud af boliger målrettet seniorer.
Kommuneplanen skal derfor ændres fra Offentlige formål til Blandet boligområde, ligesom de bygningsregulerende bestemmelser og bindinger også skal ændres.
Planområdet er i kommuneplanen registreret som et område med en håndterbar oversvømmelsestrussel. Håndterbar oversvømmelsestrussel håndteres med en vandhåndteringsplan som et led i lokalplanprocessen.
Arealets afgrænsning, omgivelser og rammer for lokalplanlægningen, fremgår af de følgende sider.
I overensstemmelse med Forslag til Ændring 2023.31 udarbejdes Forslag til Lokalplan nr. 07-030-0006.
Indkaldte idéer
I perioden 13-09-2023 til 27-09-2023 var forslaget i idehøring på Esbjerg Kommunes hjemmeside. Her opfordrede byrådet borgerne til at komme med ideer til områdets anvendelse.
Særligt beskyttede arter og naturområder (natura 2000)
Bilag IV-arter er dyr og planter, der ifølge EF-habitatdirektivet kræver særlig beskyttelse. Natura 2000-områderne er et netværk af internationalt beskyttede naturområder i EU. Natura 2000 er en samlet betegnelse for habitatområder, fuglebeskyttelsesområder og ramsar-områder. Kommuneplanændringen vurderes ikke at påvirke natura 2000-områder, bilag IV-arter eller deres yngle- og rasteområder jf. nedenstående redegørelse.
Området er besigtiget for potentiel uopdaget beskyttet natur, da en del af området er fugtigt. Der blev dog ikke fundet beskyttede naturtyper på arealet. Planområdet ligger ca. 2.250 m fra nærmeste Natura 2000-område. Grundet projektets karakter og afstand vurderes der ikke at kunne ske påvirkninger af Natura 2000-området. Der vurderes ikke at ske væsentlig påvirkning af yngle- eller rasteområder for bilag IV-arter ved den nuværende udformning af projektet.
Miljøvurdering
Kommuneplanændringen er screenet i henhold til miljøvurderingsloven og skal ikke underkastes en miljøvurdering.
Vedtagelse af Ændringen
I forbindelse med den offentlige høring er der ikke kommet nogen bemærkninger, der har relation til kommuneplanændringen.
På baggrund af ovenstående er ændringen vedtaget endeligt.
Hovedstrukturdel
På kommuneplanens farvede hovedstrukturkort ændres et Offentligt område til Lavt boligområde. Samtidig ændres centersjøjisolinjen. Ændringerne er illustreret på kortet.
Rammedel
Af kortet kan ses at planen drejer sig om enkeltområde 07-030-170.
Følgende rammeområder bliver udlagt i ændringen, hvor anvendelsesbestemmelser og bindinger fremgår:
De nævnte bindinger i rammedelen kan ses på Esbjerg Kommunes WebKort.


